Articoli su #uragano

28 ott
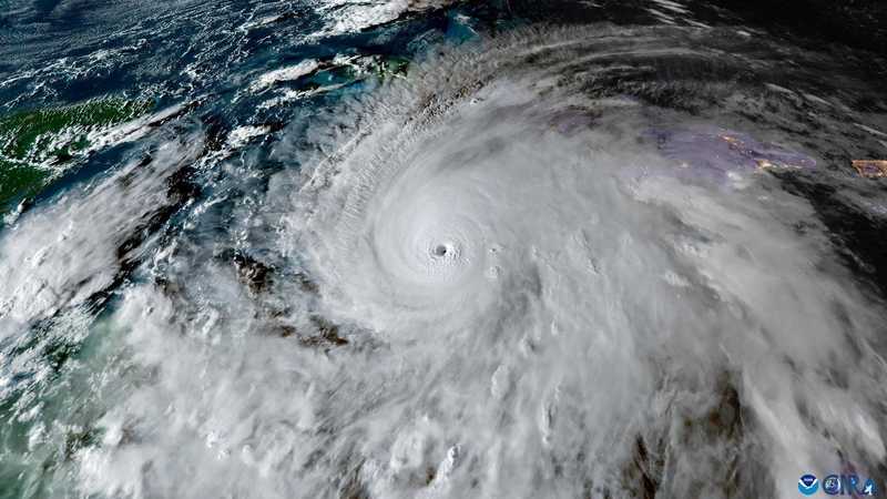
Melissa, l’uragano più potente nella storia della Giamaica
13:18 · Intensità senza precedenti nel Mar dei Caraibi L’uragano Melissa ha raggiunto la categoria 5, la massima classificazione nella scala Saffir-Simpson, e si dirige verso la Giamaica …
27 ott
Melissa, uragano da record: Jamaica si prepara al peggior impatto della storia
15:38 · Un mostro meteorologico senza precedenti Nelle ultime ore, la comunità scientifica internazionale ha rivolto la propria attenzione verso il Mar dei Caraibi, dove Melissa si è rapi…